Select another country
Andorra
Afghanistan
Albania
Argentina
Austria
Australia
Bangladesh
Belgium
Burkina Faso
Bulgaria
Bolivia, Plurinational State of
Brazil
Belarus
Belize
Canada
Congo, The Democratic Republic of the
Switzerland
Côte d'Ivoire
Chile
Cameroon
China
Colombia
Costa Rica
Cyprus
Czechia
Germany
Denmark
Algeria
Egypt
Spain
Ethiopia
Finland
France
United Kingdom
Ghana
Greece
Guatemala
Croatia
Hungary
Indonesia
Ireland
India
Iraq
Iran, Islamic Republic of
Italy
Japan
Kenya
Korea, Republic of
Kurdistan
Sri Lanka
Lithuania
Latvia
Morocco
Moldova, Republic of
Madagascar
North Macedonia
Mali
Myanmar
Mauritius
Mexico
Malaysia
Niger
Nigeria
Netherlands
Norway
Nepal
New Zealand
Panama
Peru
Philippines
Pakistan
Poland
Puerto Rico
Portugal
Romania
Serbia
Russian Federation
Saudi Arabia
Sudan
Sweden
Slovenia
Slovakia
Togo
Thailand
Turkey
Taiwan, Province of China
Tanzania, United Republic of
Ukraine
Uganda
United States
Uruguay
Uzbekistan
Venezuela, Bolivarian Republic of
Viet Nam
Yemen
South Africa
Profile
2025-09-21 Top 5 News for Taiwan, Province of China
#1
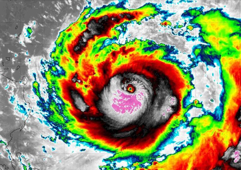
樺加沙強度大躍升登西太風王 估強度恐再攀升
自由時報
Share
#2
Toyota 油電混合宇宙再擴大!將分為 2 大陣營滿足不同需求
自由時報
Share
#3
中職》李凱威竄升安打王和盜壘王 「兩個獎我都要!」
自由時報
Share
#4
特斯拉駕駛 黑名單42人之1
自由時報
Share
#5
行醫30餘載捐逾億元 「狂醫」杜元坤樂善好施
自由時報
Share