Select another country
Andorra
Afghanistan
Albania
Argentina
Austria
Australia
Bangladesh
Belgium
Burkina Faso
Bulgaria
Bolivia, Plurinational State of
Brazil
Belarus
Belize
Canada
Congo, The Democratic Republic of the
Switzerland
Côte d'Ivoire
Chile
Cameroon
China
Colombia
Costa Rica
Cyprus
Czechia
Germany
Denmark
Algeria
Egypt
Spain
Ethiopia
Finland
France
United Kingdom
Ghana
Greece
Guatemala
Croatia
Hungary
Indonesia
Ireland
India
Iraq
Iran, Islamic Republic of
Italy
Japan
Kenya
Korea, Republic of
Kurdistan
Sri Lanka
Lithuania
Latvia
Morocco
Moldova, Republic of
Madagascar
North Macedonia
Mali
Myanmar
Mauritius
Mexico
Malaysia
Niger
Nigeria
Netherlands
Norway
Nepal
New Zealand
Panama
Peru
Philippines
Pakistan
Poland
Puerto Rico
Portugal
Romania
Serbia
Russian Federation
Saudi Arabia
Sudan
Sweden
Slovenia
Slovakia
Togo
Thailand
Turkey
Taiwan, Province of China
Tanzania, United Republic of
Ukraine
Uganda
United States
Uruguay
Uzbekistan
Venezuela, Bolivarian Republic of
Viet Nam
Yemen
South Africa
Profile
2025-10-29 Top 5 News for Serbia
#1
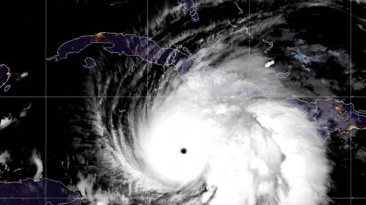
ZASTRAŠUJUĆA OLUJA VIDI SE IZ SVEMIRA! Otkinut krov sa bolnice, aerodromi zatvoreni, vetrovi šibaju: Uragan Melisa RAZORIO JAMAJKU
Blic online
Share
#2
Honor predstavio MagicOS 10: Evo šta je sve novo kod prvog prvog operativnog sistema za AI agente
Blic online
Share
#3
Zvezda i Čima Moneke - ne da je kliknulo, već puca na sve strane: Arena je luda za njim, sada više nema nazad
Mondo.rs
Share
#4
GLUŠAV ZAČARAO MREŽU: Golman Novog Beograd najzaslužniji za slavlje svog tima u Splitu protiv Jadrana
Novosti.rs
Share
#5
Lizing industrija podržala privredu Srbije sa 10 milijardi evra
Danas.rs
Share